Vente
Terrain
à
Crossac
95 000 €
Crossac (44160)
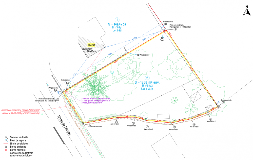
iad France - Fany Guerif vous propose: Terrain viabilisé prêt à construire – 1358 m² à Crossac
Découvrez ce terrain de 1358 m², viabilisé (eau, électricité, télécom), avec son puit sécurisé, situé à proximité immédiate du bourg de Crossac.
Sa configuration offre une implantation idéale pour votre future habitation, avec une belle ouverture sur la zone constructible permettant de concevoir un projet confortable et fonctionnel.
Situé en zone UH, destinée à l’habitat individuel, ce terrain bénéficie d’un permis d’aménager déjà accepté, vous permettant de concrétiser votre projet en toute sérénité.
Les + :
- Terrain viabilisé
- Projet déjà sécurisé administrativement
- Surface généreuse permettant de nombreuses possibilités d’implantation
Un assainissement individuel sera à prévoir.
Contactez-moi pour échanger sur votre projet et organiser une visite.
Honoraires d'agence à la charge du vendeur.
Bien non soumis au DPE. Les informations sur les risques auxquels ce bien est exposé, y compris l'obligation légale de débroussaillement, sont disponibles sur le site Géorisques : http://www.georisques.gouv.fr.
La présente annonce immobilière a été rédigée sous la responsabilité éditoriale de Mme Fany Guerif mandataire indépendant en immobilier (sans détention de fonds), agent commercial de la SAS I@D France immatriculé au RSAC de Nantes sous le numéro 839376688, titulaire de la carte de démarchage immobilier pour le compte de la société I@D France SAS.
Mandat : 1962746
Diagnostic de Performance Énergétique (DPE)
Plus d'informations
-
Conditions
- Honoraires à charge de : vendeur
-
Superficies
- Superficie terrain : 1358 m²
Localisation
Contactez nous
Pour plus d'informations sur cette annonce, n'hésitez pas à nous contacter