Vente
Terrain
à
Arpajon
139 000 €
Arpajon (91290)
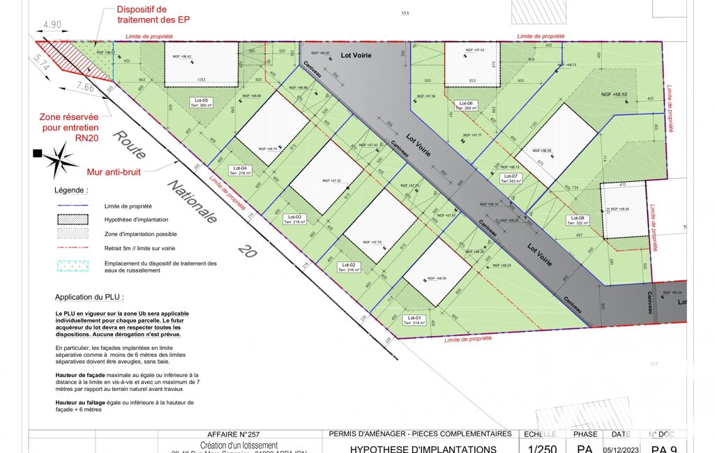
iad France - Stéphane Jacquet-Fontaine vous propose: A Arpajon, rue Marc Sangnier, à deux pas de la gare RER C, terrain à bâtir, lot n°1, vendu viabilisé de 314m² environ situé en zone UB du PLU, R+1+C max, emprise au sol max de 40%. Accès N20. Commerces, Ecoles : maternelle, primaire, collège, lycée. Honoraires à la charge du vendeur.
Honoraires d'agence à la charge du vendeur.
Bien non soumis au DPE. Les informations sur les risques auxquels ce bien est exposé, y compris l'obligation légale de débroussaillement, sont disponibles sur le site Géorisques : http://www.georisques.gouv.fr.
La présente annonce immobilière a été rédigée sous la responsabilité éditoriale de M Stéphane Jacquet-Fontaine mandataire indépendant en immobilier (sans détention de fonds), agent commercial de la SAS I@D France immatriculé au RSAC de EVRY sous le numéro 753935089, titulaire de la carte de démarchage immobilier pour le compte de la société I@D France SAS.
Mandat : 1941115
Diagnostic de Performance Énergétique (DPE)
Plus d'informations
-
Conditions
- Honoraires à charge de : vendeur
-
Superficies
- Superficie terrain : 314 m²
Localisation
Contactez nous
Pour plus d'informations sur cette annonce, n'hésitez pas à nous contacter