Vente
Terrain
à
Cruviers-Lascours
130 000 €
Cruviers-Lascours (30360)
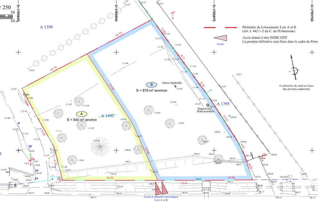
iad France - Olivier Derenne vous propose: À Vendre – Terrain constructible 1 516 m² – Un beau projet au cOEur du village de Cruviers Lascours, offrant de nombreuses possibilités.
Situé hors lotissement, dans un environnement calme et agréable, grand terrain borné, avec une jolie vue sur l’avant et quelques arbres déjà en place.
Libre de tout constructeur, hors zone inondable ( étude G1 réalisée), viabilisation en bordure ( eau + électricité ), raccordable au tout à l'égout.
Division parcellaire déjà réalisée en 2 lots :
. Une parcelle d’environ 876 m²
. Une parcelle d’environ 640 m²
Une servitude de canalisation d’eaux usées est présente( fonds servant).
Idéal pour un projet familial, une construction principale avec un terrain supplémentaire.
À découvrir rapidement !
Honoraires d'agence à la charge du vendeur.
Bien non soumis au DPE. Les informations sur les risques auxquels ce bien est exposé, y compris l'obligation légale de débroussaillement, sont disponibles sur le site Géorisques : http://www.georisques.gouv.fr.
La présente annonce immobilière a été rédigée sous la responsabilité éditoriale de M Olivier Derenne mandataire indépendant en immobilier (sans détention de fonds), agent commercial de la SAS I@D France immatriculé au RSAC de NÎMES sous le numéro 904230737, titulaire de la carte de démarchage immobilier pour le compte de la société I@D France SAS.
Mandat : 1791003
Diagnostic de Performance Énergétique (DPE)
Plus d'informations
-
Conditions
- Honoraires à charge de : vendeur
-
Superficies
- Superficie terrain : 1516 m²
Localisation
Contactez nous
Pour plus d'informations sur cette annonce, n'hésitez pas à nous contacter