Vente
Terrain
à
Azille
81 500 €
Azille (11700)
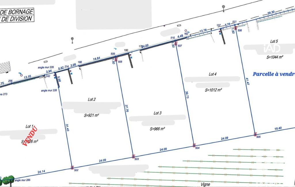
iad France - Aurore Collette vous propose: * TERRAIN CONSTRUCTIBLE de 1044 m² - VIABILISE - LIBRE CONSTRUCTEUR - EXPOSITION SUD *
Situé dans un secteur paisible et recherché d’Azille, charmant village du Minervois reconnu pour sa qualité de vie, ce terrain constructible offre un cadre de vie agréable à deux pas du centre et des commodités locales.
Je vous propose de découvrir ce terrain constructible d'une superficie confortable de 1044 m² (lot n°5) avec une surface de plancher attribuée de 500m²,qui fait partie d'un petit lotissement composé de 5 lots.
* Terrain plat
* Viabilisé (Tout à l'égout, électricité, eaux usées et fluviales, fibre disponible dans la rue)
* Libre constructeur
* Cadre campagne, proche du centre
* Exposition idéale
* Constructible immédiatement
Idéal pour bâtir votre future maison dans un village vivant du Minervois
Environnement calme, campagne environnante, à seulement 10 min d’Olonzac, 30 min de Narbonne ou Carcassonne.
Une belle opportunité de bâtir votre projet, dans un secteur prisé et ensoleillé du sud de la France !
* Deux autres lots d'une superficie de 1012m² et 966 m² sont disponible à la vente *
Honoraires d'agence à la charge du vendeur.
Bien non soumis au DPE. Les informations sur les risques auxquels ce bien est exposé, y compris l'obligation légale de débroussaillement, sont disponibles sur le site Géorisques : http://www.georisques.gouv.fr.
La présente annonce immobilière a été rédigée sous la responsabilité éditoriale de Mme Aurore Collette mandataire indépendant en immobilier (sans détention de fonds), agent commercial de la SAS I@D France immatriculé au RSAC de NARBONNE sous le numéro 905215539, titulaire de la carte de démarchage immobilier pour le compte de la société I@D France SAS.
Mandat : 1940895
Diagnostic de Performance Énergétique (DPE)
Plus d'informations
-
Conditions
- Honoraires à charge de : vendeur
-
Superficies
- Superficie terrain : 1044 m²
Localisation
Contactez nous
Pour plus d'informations sur cette annonce, n'hésitez pas à nous contacter