Vente
Terrain
à
Fruges
90 000 €
Fruges (62310)
iad France - Hélène Leclerc vous propose: EN EXCLUSIVITE : Terrain viabilisé de 4700 m² environ , à 45 min du Touquet Paris Plage, 30 min de Saint Pol sur Ternoise, 20min d'Hesdin.
Belle parcelle avec chalet de 50 m² environ (possibilité de le retirer) raccordé en eau et électricité , arborée et clôturée.
Une partie constructible et une partie agricole.
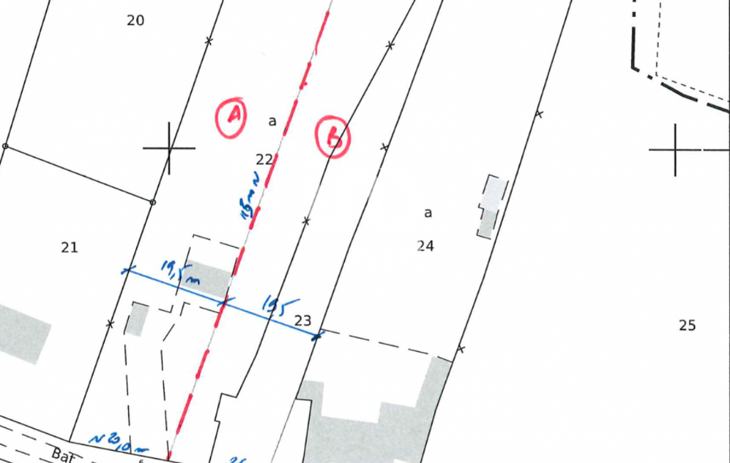
Possibilité de diviser la parcelle - cf photo partie A avec le châlet et partie B
Libre de tout constructeur.
Honoraires d'agence à la charge du vendeur.
Bien non soumis au DPE. Les informations sur les risques auxquels ce bien est exposé, y compris l'obligation légale de débroussaillement, sont disponibles sur le site Géorisques : http://www.georisques.gouv.fr.
La présente annonce immobilière a été rédigée sous la responsabilité éditoriale de Mme Hélène Leclerc mandataire indépendant en immobilier (sans détention de fonds), agent commercial de la SAS I@D France immatriculé au RSAC de ARRAS sous le numéro 897723409, titulaire de la carte de démarchage immobilier pour le compte de la société I@D France SAS.
Mandat : 1753394
Diagnostic de Performance Énergétique (DPE)
Plus d'informations
-
Conditions
- Honoraires à charge de : vendeur
-
Superficies
- Superficie terrain : 4700 m²
Localisation
Contactez nous
Pour plus d'informations sur cette annonce, n'hésitez pas à nous contacter