Vente
Terrain
à
Châlette-sur-Loing
59 000 €
Châlette-sur-Loing (45120)
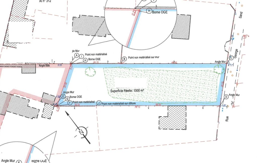
iad France - Laurence Cabrera vous propose: Quartier Lancy, Terrain constructible de 1500m2 borné non viabilisé disposant d'une façade de 20M, réseaux en bordure de route. Dossier à votre disposition sur demande.
Honoraires d'agence à la charge du vendeur.
Bien non soumis au DPE. Les informations sur les risques auxquels ce bien est exposé, y compris l'obligation légale de débroussaillement, sont disponibles sur le site Géorisques : http://www.georisques.gouv.fr.
La présente annonce immobilière a été rédigée sous la responsabilité éditoriale de Mme Laurence Cabrera mandataire indépendant en immobilier (sans détention de fonds), agent commercial de la SAS I@D France immatriculé au RSAC de ORLEANS sous le numéro 799401419, titulaire de la carte de démarchage immobilier pour le compte de la société I@D France SAS.
Mandat : 1889941
Diagnostic de Performance Énergétique (DPE)
Plus d'informations
-
Conditions
- Honoraires à charge de : vendeur
-
Superficies
- Superficie terrain : 1500 m²
Localisation
Contactez nous
Pour plus d'informations sur cette annonce, n'hésitez pas à nous contacter