Vente
Terrain
à
Villedômer
48 000 €
Villedômer (37110)
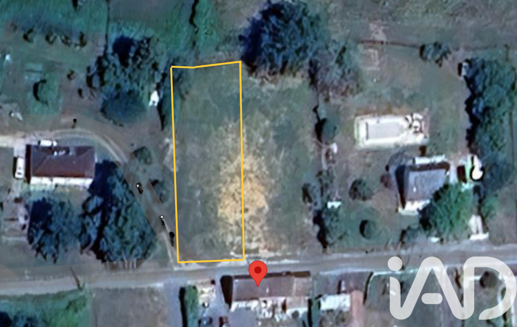
iad France - Emilie Branger vous propose: Terrain constructible – 903 m² environ à Villedômer
Situé au calme à Villedômer, ce terrain saura vous séduire pour réaliser la maison de vos rêves. Proche du bourg (pharmacie, boulangerie, épicerie, restaurant, café associatif), il s'étend sur environ 903m2 (approximativement 16m de large x 51m de long).
La route non passante vous garantit la tranquillité au quotidien.
Il est libre de constructeur et non viabilisé mais l’ensemble des réseaux sont en bordure du terrain : eau, électricité, voirie. L'assainissement se fera obligatoirement en individuel.
Le bornage ainsi que l'étude de sol G1 ont été réalisés.
Chiffrage viabilisation + estimatif étude de sol G2 disponibles sur simple demande
N'attendez plus pour concrétiser votre projet immobilier et contactez-moi !
Honoraires d'agence à la charge du vendeur.
Bien non soumis au DPE. Les informations sur les risques auxquels ce bien est exposé, y compris l'obligation légale de débroussaillement, sont disponibles sur le site Géorisques : http://www.georisques.gouv.fr.
La présente annonce immobilière a été rédigée sous la responsabilité éditoriale de Mme Emilie Branger mandataire indépendant en immobilier (sans détention de fonds), agent commercial de la SAS I@D France immatriculé au RSAC de Tours sous le numéro 985261452, titulaire de la carte de démarchage immobilier pour le compte de la société I@D France SAS.
Mandat : 1955062
Diagnostic de Performance Énergétique (DPE)
Plus d'informations
-
Conditions
- Honoraires à charge de : vendeur
-
Superficies
- Superficie terrain : 903 m²
Localisation
Contactez nous
Pour plus d'informations sur cette annonce, n'hésitez pas à nous contacter