Vente
Terrain
à
Vieux-Lès-Asfeld
37 500 €
Vieux-Lès-Asfeld (08190)
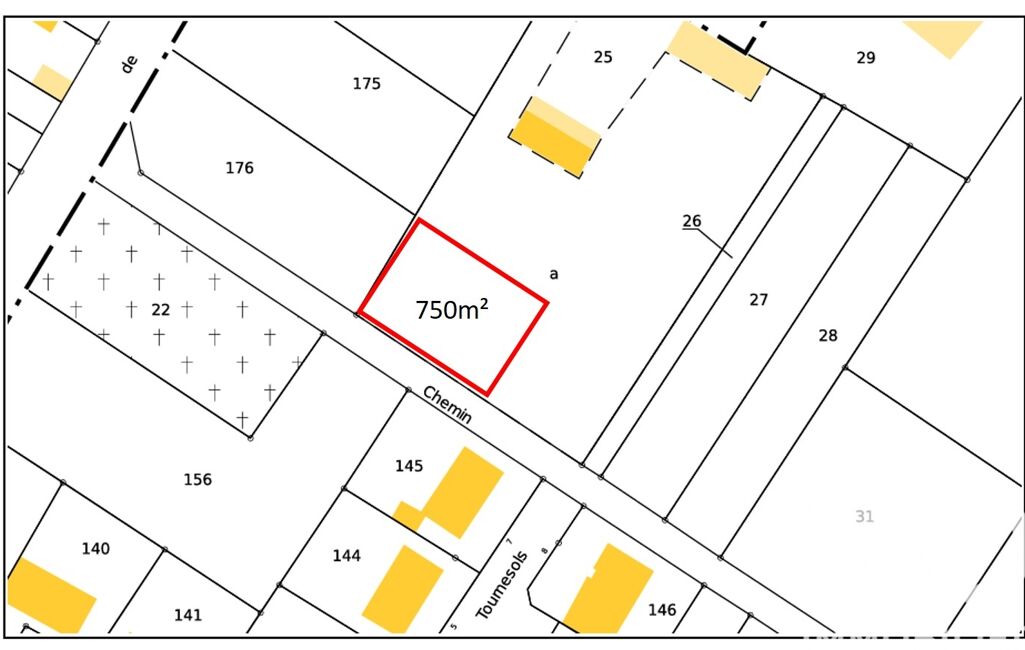
iad France - Julien Pepe vous propose: Terrain constructible – 750m² –
À vendre, terrain constructible non viabilisé d’une surface totale de 750 m², idéalement situé à proximité immédiate d’un lotissement existant.
- Terrain libre de constructeur
- Environnement résidentiel
- Réseaux à proximité (viabilisation à prévoir)
Le bornage sera fait à la vente donc possibilité d'acquérir plus ou moins de surface si besoin.
Une opportunité rare pour un projet de construction sur mesure.
Honoraires d'agence à la charge du vendeur.
Bien non soumis au DPE. Les informations sur les risques auxquels ce bien est exposé, y compris l'obligation légale de débroussaillement, sont disponibles sur le site Géorisques : http://www.georisques.gouv.fr.
La présente annonce immobilière a été rédigée sous la responsabilité éditoriale de M Julien Pepe mandataire indépendant en immobilier (sans détention de fonds), agent commercial de la SAS I@D France immatriculé au RSAC de SEDAN sous le numéro 949408207, titulaire de la carte de démarchage immobilier pour le compte de la société I@D France SAS.
Mandat : 1976881
Diagnostic de Performance Énergétique (DPE)
Plus d'informations
-
Conditions
- Honoraires à charge de : vendeur
-
Superficies
- Superficie terrain : 750 m²
Localisation
Contactez nous
Pour plus d'informations sur cette annonce, n'hésitez pas à nous contacter