Vente
Terrain
à
Pontcharra
85 000 €
Pontcharra (38530)
iad France - Jean-Baptiste Levis vous propose: Belle parcelle constructible avec son orientation plein sud, elle bénéficie d'une belle vue dégagée sur les montagnes.
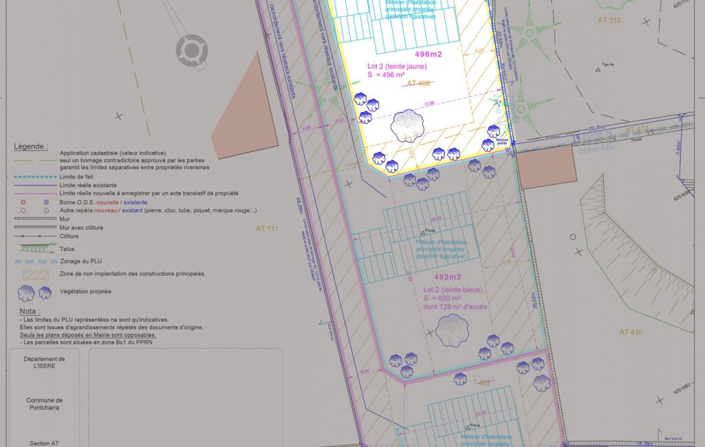
Terrain plat d'environ 496 m².
Emprise au sol possible jusqu'à 149 m².
Surface habitable possible sur 2 niveaux jusqu'à 160 m² + double garage + terrasse 39 m2.
Situé à l'entrée sud de Pontcharra, l'accès se fera depuis la rue du Grignon.
Libre de constructeur.
Belle exposition sud : vous bénéficierez d'un ensoleillement optimal toute la journée et toute l'année. Le terrain est situé à 3 minutes du centre-ville de Pontcharra (commerces, lycée, collège, école primaire, gare, piscine...).
Terrain non viabilisé.
Les réseaux sont en bord de route.
Contactez-moi pour plus de renseignements et détails sur les conditions particulières de ce terrain.
Honoraires d'agence à la charge du vendeur.
Bien non soumis au DPE. Les informations sur les risques auxquels ce bien est exposé, y compris l'obligation légale de débroussaillement, sont disponibles sur le site Géorisques : http://www.georisques.gouv.fr.
La présente annonce immobilière a été rédigée sous la responsabilité éditoriale de M Jean-Baptiste Levis mandataire indépendant en immobilier (sans détention de fonds), agent commercial de la SAS I@D France immatriculé au RSAC de Grenoble sous le numéro 490175171, titulaire de la carte de démarchage immobilier pour le compte de la société I@D France SAS.
Mandat : 1889126
Diagnostic de Performance Énergétique (DPE)
Plus d'informations
-
Conditions
- Honoraires à charge de : vendeur
-
Superficies
- Superficie terrain : 496 m²
Localisation
Contactez nous
Pour plus d'informations sur cette annonce, n'hésitez pas à nous contacter