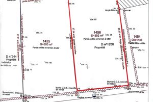
Terrain 392 m²
Villiers-Saint-Georges (77560) 39 500 

Mandat : 1927979
Description
Iad France - Melvin Reboisson vous propose : Située à Villiers-Saint-Georges, village possédant toutes commodités, écoles maternelle, primaire, ainsi que son collège. Ce bien se trouve à 14 km de Provins (Gare SNCF Paris Est), accès RN4 à 5 minutes et 1h20 du centre de Paris. Terrain constructible d'une surface de 392m3. Il se situe dans une rue calme du village, et quelques mètres de toutes commodités ainsi que les écoles. Déjà fermé sur coté et l'arrière. Ce bien à déjà bénéficié de l'intervention du Géomètre Expert. Borné, celui-ci nécessite un aménagement pour un accès routier, ainsi que la viabilisation (Assainissement collectif). Longueur de façade de 13.97m. Honoraires d'agence à la charge du vendeur. Bien non soumis au DPE. Les informations sur les risques auxquels ce bien est exposé, y compris l'obligation légale de débroussaillement, sont disponibles sur le site Géorisques : http://www.georisques.gouv.fr. La présente annonce immobilière a été rédigée sous la responsabilité éditoriale de M Melvin Reboisson mandataire indépendant en immobilier (sans détention de fonds), agent commercial de la SAS I@D France immatriculé au RSAC de Melun sous le numéro 894681220, titulaire de la carte de démarchage immobilier pour le compte de la société I@D France SAS.

Informations complémentaires

Agence iad france

Carré HAUSSMAN III. CS 10476 77127 Lieusaint
melvin.reboisson@iadfrance.fr - 07 86 29 67 09
Commentaires de visite