Terrain 393 m²
Villiers-Saint-Georges (77560) 39 500 

Mandat : 1927976
Description
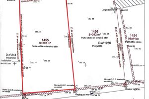
Iad France - Melvin Reboisson vous propose : Située à Villiers-Saint-Georges, village possédant toutes commodités, écoles maternelle, primaire, ainsi que son collège, le terrain se trouvant tout proche de ceux-ci. Ce bien se trouve à 14 km de Provins (Gare SNCF Paris Est), accès RN4 à 5 minutes et 1h20 du centre de Paris. À quelques mètres des commodités ainsi que des écoles, ce terrain constructible d'une surface de 393 m², déjà fermé sur coté et arrière, ce trouve dans une rue calme du village. Borné, celui-ci nécessite un aménagement pour un accès routier, ainsi que la viabilisation (Assainissement collectif). Longueur de façade de 14.78m. Honoraires d'agence à la charge du vendeur. Bien non soumis au DPE. Les informations sur les risques auxquels ce bien est exposé, y compris l'obligation légale de débroussaillement, sont disponibles sur le site Géorisques : http://www.georisques.gouv.fr. La présente annonce immobilière a été rédigée sous la responsabilité éditoriale de M Melvin Reboisson mandataire indépendant en immobilier (sans détention de fonds), agent commercial de la SAS I@D France immatriculé au RSAC de Melun sous le numéro 894681220, titulaire de la carte de démarchage immobilier pour le compte de la société I@D France SAS.

Informations complémentaires

Agence iad france

Carré HAUSSMAN III. CS 10476 77127 Lieusaint
melvin.reboisson@iadfrance.fr - 07 86 29 67 09
Commentaires de visite